ขายที่ดินว่างเปล่า ตำบลหนองขาม อำเภอศรีราชา ชลบุรี
Quote from Panaya Kiddee on 19/05/2025, 2:58 pmCode ID : PKT-61EE010102710
ราคา 6,498,000 บาท (ราคาต่อรองได้)
▸ เนื้อที่ 000 พื้นที่ใช้สอย 000 ตารางเมตร
▸ 1-1-37 ไร่.บ้านหันไปทางทิศ ตะวันตกเฉียงใต้
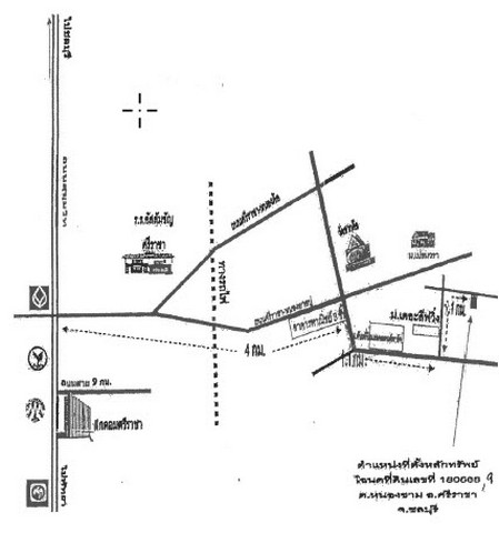
พิกัดทรัพย์ : https://maps.app.goo.gl/7TVMjpqv89QmCpaQ6
สถานที่ใกล้เคียง
▸ใกล้สิ่งอำนวยความสะดวกครบครัน
สอบถามเพิ่มเติม / นัดชม
โทร. 097-419-5982(พลอย)
โทร. 096-932-4624(ออมสิน)
Line : @panaya (มี@ด้านหน้า)ปรึกษาสินเชื่อฟรี One Stop Service ดูแลตั้งแต่ต้นจนจบบริษัท ปณยาคิดดี จำกัด
Code ID : PKT-61EE010102710
ราคา 6,498,000 บาท (ราคาต่อรองได้)
▸ เนื้อที่ 000 พื้นที่ใช้สอย 000 ตารางเมตร
▸ 1-1-37 ไร่.
บ้านหันไปทางทิศ ตะวันตกเฉียงใต้
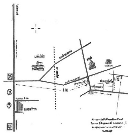
พิกัดทรัพย์ : https://maps.app.goo.gl/7TVMjpqv89QmCpaQ6
สถานที่ใกล้เคียง
▸ใกล้สิ่งอำนวยความสะดวกครบครัน
สอบถามเพิ่มเติม / นัดชม
โทร. 097-419-5982(พลอย)
โทร. 096-932-4624(ออมสิน)
Line : @panaya (มี@ด้านหน้า)
ปรึกษาสินเชื่อฟรี One Stop Service ดูแลตั้งแต่ต้นจนจบบริษัท ปณยาคิดดี จำกัด
Uploaded files:




