ขายบ้านเดี่ยวโครงการ ทรัพย์มณี ตำบลบ่อวิน อำเภอศรีราชา ชลบุรี
Quote from Panaya Kiddee on 11/06/2025, 12:58 pmCode ID : PKT-61EE010302681
ราคา 2,310,000 บาท (ราคาต่อรองได้)
▸ เนื้อที่ 60.1 ตร.ว.
▸ 3 ห้องนอน 2 ห้องน้ำ
▸ 1 ที่จอดรถบ้านหันไปทางทิศ ตะวันตก
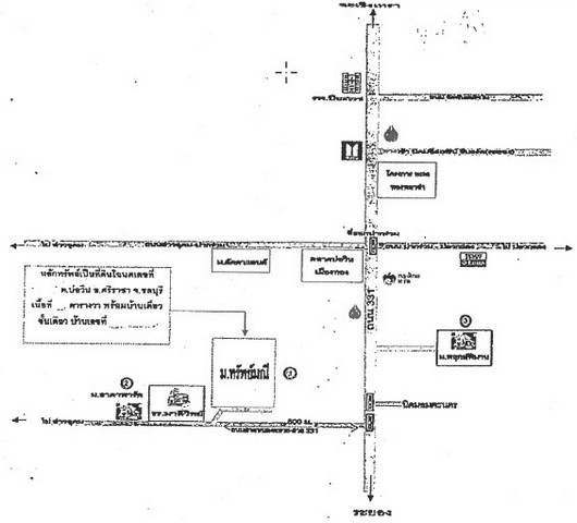
พิกัดทรัพย์ : https://maps.app.goo.gl/Q6tZ2sQktBC9Gn5i9
สถานที่ใกล้เคียง
▸ใกล้คลินิก รพ.สมเด็จพระนางเจ้าสิริกิต
▸ใกล้School Maryvit Bowin
▸ใกล้ศูนย์บริการเฟิร์สช้อยส์สาขาเมกาโฮม บ่อวินสอบถามเพิ่มเติม / นัดชม
โทร. 097-419-5982(พลอย)
โทร. 096-932-4624(ออมสิน)
Line : @panaya (มี@ด้านหน้า)ปรึกษาสินเชื่อฟรี One Stop Service ดูแลตั้งแต่ต้นจนจบบริษัท ปณยาคิดดี จำกัด
Code ID : PKT-61EE010302681
ราคา 2,310,000 บาท (ราคาต่อรองได้)
▸ เนื้อที่ 60.1 ตร.ว.
▸ 3 ห้องนอน 2 ห้องน้ำ
▸ 1 ที่จอดรถ
บ้านหันไปทางทิศ ตะวันตก
พิกัดทรัพย์ : https://maps.app.goo.gl/Q6tZ2sQktBC9Gn5i9
สถานที่ใกล้เคียง
▸ใกล้คลินิก รพ.สมเด็จพระนางเจ้าสิริกิต
▸ใกล้School Maryvit Bowin
▸ใกล้ศูนย์บริการเฟิร์สช้อยส์สาขาเมกาโฮม บ่อวิน
สอบถามเพิ่มเติม / นัดชม
โทร. 097-419-5982(พลอย)
โทร. 096-932-4624(ออมสิน)
Line : @panaya (มี@ด้านหน้า)
ปรึกษาสินเชื่อฟรี One Stop Service ดูแลตั้งแต่ต้นจนจบบริษัท ปณยาคิดดี จำกัด
Uploaded files:




